AsosiyDunyo

Guam, Saypan va shimoliy Mariana orollariga Yutu tayfuni yopirilmoqda

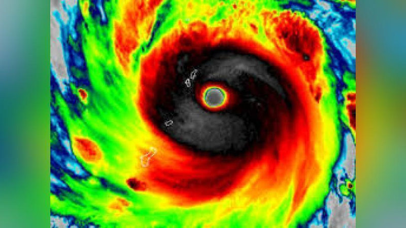
'Guam, Saypan va shimoliy Mariana orollariga Yutu tayfuni yopirilmoqda 'ning rasmi

Guam, Saypan va shimoliy Mariana orollariga super to`fon deb tariflanayotgan Yutu tayfuni yopirilmoqda, deya xabar qilmoqda TASS nashri.

Bu hududlarda hozir bo`ronning ilk bosqichi kuzatilmoqda. Shamol tezligi soatiga 180 km.ga etgan. Hozirda tabiiy ofat faqatgina elekr tarmoqlargagina zarar etkazgan. Ammo mutaxasissislar bu hali boshlanishi ekanini, biroq keyingi bosqichlarga o`tishi mumkinligi haqida ogohlantirishmoqda.

    Boshqa yangiliklar